砂利敷きでコストを抑えた新築ベーシック オープン外構
プラン内容 No.2859
※データは見積当時のものです
- 見積参考価格
- 135 万円
- 工事面積
- 102m 2
- 工事種別
- 新築外構
- 地形
- 旗竿地
- 方位
- 東
- 車の台数
- 3台以上
- 登録日
- 2025-03-31
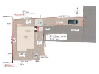
イメージパース・図面







コメント
建物周りや駐車場全体を防草シートと砂利敷きにすることで、コストを抑えつつ、雑草対策を施しました。 玄関先には機能性 LIXIL アクシィ1型を設置し、シンプルなデザインで利便性をアップしました。 アプローチ部分には耐久性と実用性に優れた土間コンクリートを採用し、歩行時の安全性も確保しました。







