物置で収納力をアップした新築ベーシック オープン外構
プラン内容 No.2902
※データは見積当時のものです
- 見積参考価格
- 237 万円
- 工事面積
- 84m 2
- 工事種別
- 新築外構
- 地形
- 四角
- 方位
- 北
- 登録日
- 2025-03-07
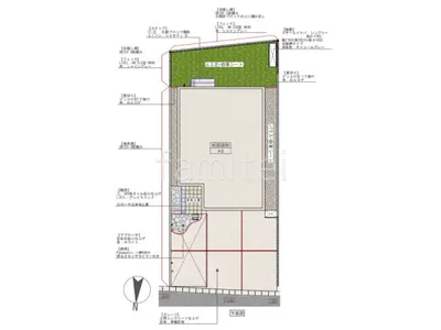
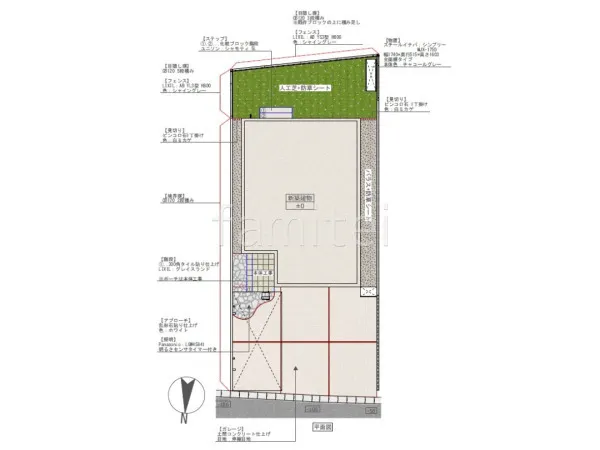
イメージパース・図面








コメント
駐車スペースに1台用カーポート LIXIL ネスカFを設置し、車の出入りが快適な空間を確保しました。 アプローチには白い乱形石を使用し、明るく上品な印象をプラスします。 門柱は宅配ボックス付きで機能門柱 YKKAP 木製調ルシアスポストユニットHB01型を採用し、機能性とデザイン性を両立しました。 お庭には人工芝を敷いてメンテナンスの手間を軽減し、目隠しフェンス LIXIL AB YS3型で囲むことでプライバシーを確保します。 さらに、物置 イナバ アイビーストッカー BJX-095Dとシンプリー MJX-175Dを設けることで収納力と暮らしやすさをアップ。








